Wikipedia

Rapid intensification

(redirected from Rapid deepening)
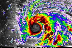
Infrared satellite loop of Typhoon Maria in July 2018, as it underwent rapid intensification

Rapid intensification is a meteorological situation where a tropical cyclone intensifies dramatically in a short period of time. The United States National Hurricane Center defines rapid intensification as an increase in the maximum sustained winds of a tropical cyclone of at least 30 knots (35 mph; 55 km/h) in a 24-hour period.[1]

Necessary conditions

External

In order for rapid intensification to occur, several conditions must be in place. Water temperatures must be extremely warm (near or above 30 °C, 86 °F), and water of this temperature must be sufficiently deep such that waves do not churn deeper cooler waters up to the surface. Wind shear must be low; when wind shear is high, the convection and circulation in the cyclone will be disrupted.[2] Dry air can also limit the strengthening of tropical cyclones.[3]

Internal

Usually, an anticyclone in the upper layers of the troposphere above the storm must be present as well—for extremely low surface pressures to develop. This is because air must be converging towards the low pressure at the surface which then forces the air to rise very rapidly in the eyewall of the storm, and due to conservation of mass requires a divergence of wind at the top of the troposphere. This process is aided by an upper-level anticyclone which helps channel this air away from the cyclone efficiently.[4] Hot towers have been implicated in tropical cyclone rapid intensification, though they have diagnostically seen varied impacts across basins.[5]

Previous nomenclature and definitions

The United States National Hurricane Center previously defined rapid deepening of a tropical cyclone, when the minimum central pressure decreased by 42 millibars (1.240 inHg) over a 24-hour period.[6] Currently it is defined as an increase in the maximum sustained winds of a tropical cyclone of at least 30 knots (35 mph; 55 km/h) in a 24-hour period.[1] However, recent research suggests that mean sea level pressure is a better predictor of damage from hurricanes making landfall in the continental United States.[7]

See also

  • Tropical cyclone
  • List of the most intense tropical cyclones
  • Explosive cyclogenesis
  • Annular tropical cyclone

References

  1. ^ a b National Hurricane Center (March 25, 2013). "Glossary of NHC Terms". United States National Oceanic and Atmospheric Administration's National Weather Service. Archived from the original on April 1, 2014. Retrieved April 1, 2014.
  2. ^ Lam, Linda (October 23, 2015). "Multiple Factors Allowed Hurricane Patricia to Rapidly Intensify". The Weather Channel. Retrieved August 6, 2018.
  3. ^ Lam, Linda (7 September 2018). "Based on Hurricane Florence's Location, We Didn't Expect It to Get So Strong So Soon". The Weather Channel. Retrieved 7 September 2018.
  4. ^ Diana Engle. "Hurricane Structure and Energetics". Data Discovery Hurricane Science Center. Archived from the original on 2008-05-27. Retrieved 2008-10-26.
  5. ^ Zhuge, Xiao-Yong; Ming, Jie; Wang, Yuan (October 2015). "Reassessing the Use of Inner-Core Hot Towers to Predict Tropical Cyclone Rapid Intensification*". Weather and Forecasting. 30 (5): 1265–1279. Bibcode:2015WtFor..30.1265Z. doi:10.1175/WAF-D-15-0024.1.
  6. ^ National Hurricane Center/Tropical Prediction Center (February 7, 2005). "Glossary of NHC/TPC Terms". United States National Oceanic and Atmospheric Administration's National Weather Service. Archived from the original on October 17, 2005. Retrieved April 1, 2014.
  7. ^ Klotzbach, Philip J.; Bell, Michael M.; Bowen, Steven G.; Gibney, Ethan J.; Knapp, Kenneth R.; Schreck, Carl J. (22 January 2020). "Surface Pressure a More Skillful Predictor of Normalized Hurricane Damage than Maximum Sustained Wind". Bulletin of the American Meteorological Society. doi:10.1175/BAMS-D-19-0062.1.
This article is copied from an article on Wikipedia® - the free encyclopedia created and edited by its online user community. The text was not checked or edited by anyone on our staff. Although the vast majority of Wikipedia® encyclopedia articles provide accurate and timely information, please do not assume the accuracy of any particular article. This article is distributed under the terms of GNU Free Documentation License.

Copyright © 2003-2025 Farlex, Inc Disclaimer
All content on this website, including dictionary, thesaurus, literature, geography, and other reference data is for informational purposes only. This information should not be considered complete, up to date, and is not intended to be used in place of a visit, consultation, or advice of a legal, medical, or any other professional.